Save
Ask
Tour
Hide
$25,000
324 Days On Site
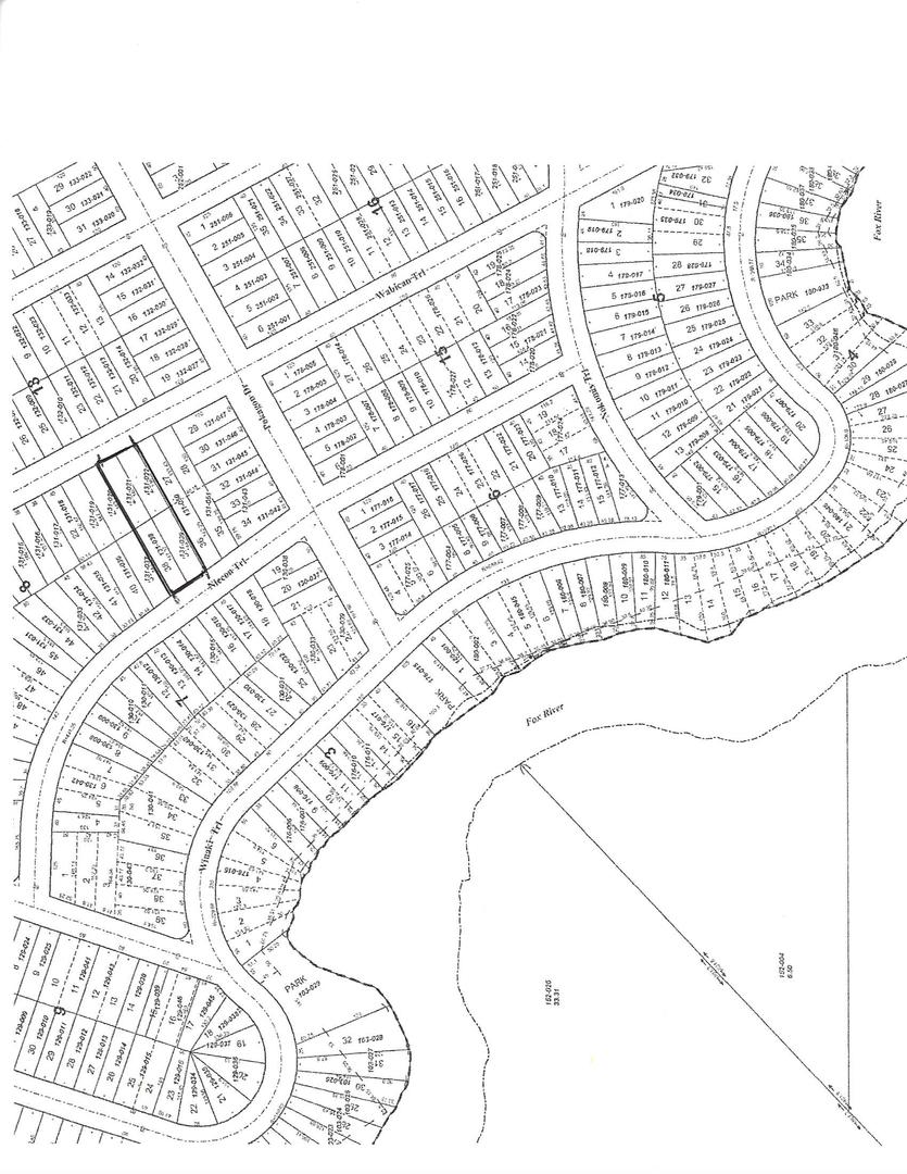
lot 25 Wabican TrailAlgonquin, IL 60102
For Sale|Land|Active
Subdivision:
Algonquin Shores
County:
Kane
Listing Courtesy of MRED as distributed by MLS Grid of Movoto Inc
Call Now: 815-786-9418
Is this the listing for you? We can help make it yours.
815-786-9418



Save
Ask
Tour
Hide
Mortgage Calculator
Monthly Payment (Est.)
$114Calculator powered by Showcase IDX, a Constellation1 Company. Copyright ©2026 Information is deemed reliable but not guaranteed.
Two buildable, wooded lots in sought-after Algonquin Shores - plus two additional adjacent lots included for unmatched privacy, space, and seclusion. A rare opportunity to build your dream retreat with room to breathe.
Save
Ask
Tour
Hide
Listing Snapshot
Price
$25,000
Days On Site
324 Days
Bedrooms
N/A
Inside Area (SqFt)
N/A
Total Baths
N/A
Full Baths
N/A
Partial Baths
N/A
Lot Size
N/A
Year Built
N/A
MLS® Number
12375558
Status
Active
Property Tax
$203.6
HOA/Condo/Coop Fees
N/A
Sq Ft Source
N/A
Friends & Family
Recent Activity
| 10 months ago | Listing updated with changes from the MLS® | |
| 10 months ago | Status changed to Active | |
| 11 months ago | Listing first seen on site |
General Features
Additional Property Use
Single Family
Sewer
Septic Tank
Water Source
Well
Zoning
SINGL
Save
Ask
Tour
Hide
Exterior Features
Frontage
80
Community Features
MLS Area
Algonquin
Roads
Asphalt
School District
300
Township
Dundee
Schools
School District
300
Elementary School
Unknown
Middle School
Unknown
High School
Unknown
Listing Courtesy of MRED as distributed by MLS Grid of Movoto Inc
Based on information submitted to the MLS GRID as of 2026-04-16 02:28 PM UTC. All data is obtained from various sources and may not have been verified by broker or MLS GRID. Supplied Open House Information is subject to change without notice. All information should be independently reviewed and verified for accuracy. Properties may or may not be listed by the office/agent presenting the information.
Last checked: 2026-04-16 02:28 PM UTC
MRED DMCA Copyright Information Copyright © 2026 Midwest Real Estate Data LLC. All rights reserved.
Based on information submitted to the MLS GRID as of 2026-04-16 02:28 PM UTC. All data is obtained from various sources and may not have been verified by broker or MLS GRID. Supplied Open House Information is subject to change without notice. All information should be independently reviewed and verified for accuracy. Properties may or may not be listed by the office/agent presenting the information.
Last checked: 2026-04-16 02:28 PM UTC
MRED DMCA Copyright Information Copyright © 2026 Midwest Real Estate Data LLC. All rights reserved.
Neighborhood & Commute
Source: Walkscore
Disclosure: Community information and market data powered by Constellation Data Labs. Information is deemed reliable but not guaranteed.
Save
Ask
Tour
Hide

Did you know? You can invite friends and family to your search. They can join your search, rate and discuss listings with you.